Due to the health concerns created by Coronavirus we are offering personal 1-1 online video walkthough tours where possible.


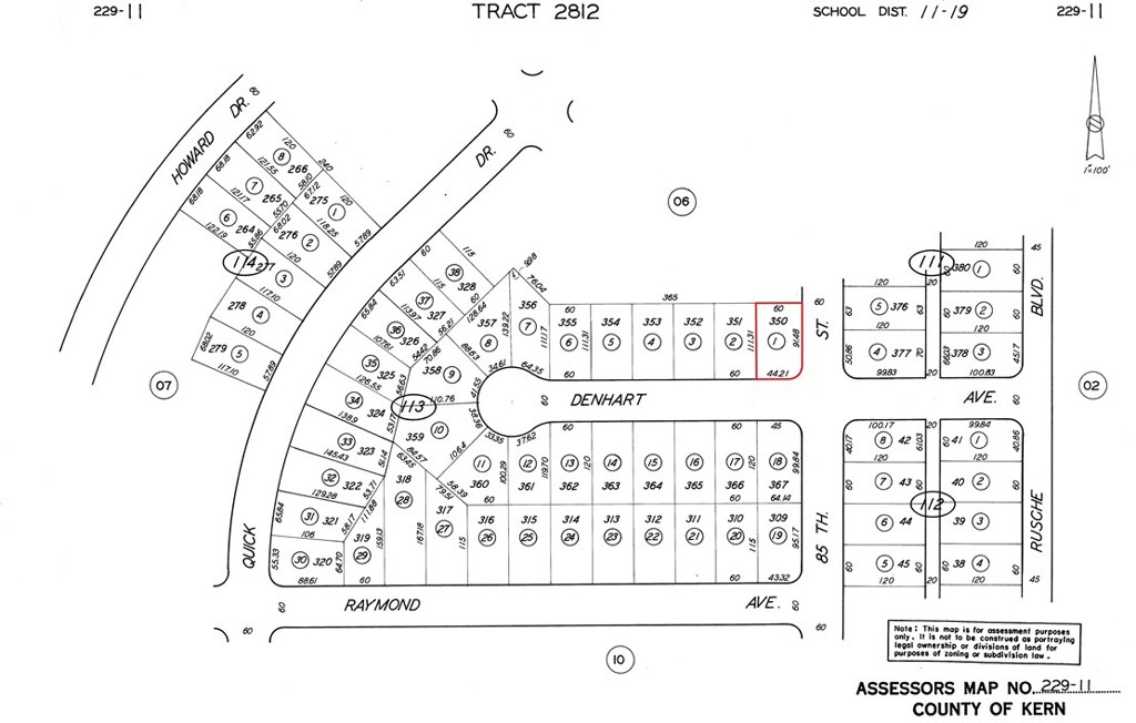
Strategic 0.169-acre corner lot at Denhart Ave and 85th St in California City offers exceptional desert investment potential at $18,000. This flat, buildable parcel sits just 4 miles from California City Airport with year-round dirt road access and power lines approximately 1000 feet south on Mendiburu Road. Zoned for residential development, this well-positioned lot features typical desert shrub topography ideal for construction and septic installation. Located in Kern County's expanding market, the property provides easy highway access to Edwards Air Force Base (25 miles) and Los Angeles metro (120 miles) while maintaining desert tranquility. Buyers will need to drill well for water and install septic system. Perfect for off-grid living, investment holding, or future development in this growing high desert community. The corner location offers multiple access options and enhanced development flexibility. GPS coordinates 35.14336, -117.97818 place this parcel in an area experiencing steady growth from aerospace industry and industrial development. Utilities to be verified by buyer. Cash offers preferred for quick closing on this affordable California land opportunity.
| 10 hours ago | Listing first seen on site | |
| 10 hours ago | Listing updated with changes from the MLS® |
Do you have questions?
Call or text today, we are here to help!
I agree to be contacted by Team Lloyd & Associates via text, call & email. To opt-out, reply 'stop' or click unsubscribe.
Did you know? You can invite friends and family to your search. They can join your search, rate and discuss listings with you.