Due to the health concerns created by Coronavirus we are offering personal 1-1 online video walkthough tours where possible.


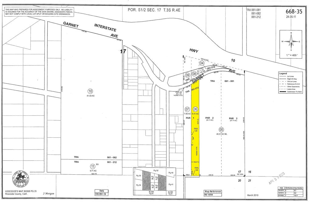
8.41 acres on Garnet Ave in North Palm Springs offering a rare opportunity for buyers seeking open desert land with flexibility and long-term upside. Zoned W-2, this expansive parcel allows for a variety of potential uses (buyer to verify with Riverside County), making it well suited for investment, land banking, or future development. The property is rectangular, mostly level, and accessible via Garnet Ave, with wide-open views of the surrounding desert and mountains. No utilities are currently on site, providing a blank slate for a buyer to design improvements as needed. Conveniently located near Interstate 10 and the Coachella Valley corridor, this large acreage parcel combines privacy, scale, and strong potential in a growing North Palm Springs area. Buyer to verify zoning, utilities, access, and allowable uses during due diligence. ****No soils reports, surveys, etc., have been done. Buyer and buyer's agent to verify all information with the city or county for allowable uses and requirements and rely on their own investigations. **Buyer responsible for checking zoning, utilities, permits and exact property boundaries. ****
| 2 hours ago | Listing updated with changes from the MLS® | |
| 10 hours ago | Listing first seen on site |
Do you have questions?
Call or text today, we are here to help!
I agree to be contacted by Team Lloyd & Associates via text, call & email. To opt-out, reply 'stop' or click unsubscribe.
Did you know? You can invite friends and family to your search. They can join your search, rate and discuss listings with you.